Fara í efni
Evrópuverkefni
Rannsóknir
Dýrasvif
Bergmálsmælingar á ljósátu
Langtímavöktun átu
Umhverfisþættir, dýrasvif og síld
Ferskvatnsfiskar
Atlantshafslax
Um sjávarlús og laxalús
Áll
Bleikja
Flundra
Hnúðlax
Hornsíli
Urriði
Stangveiði
Hreistursýnataka
Skráning á afla
Stærstu fiskarnir
Veitt og sleppt
Fiskmerkingar
Merki
Skil á merkjum
Merkingaverkefni í gangi
Framandi sjávarlífverur
Hvalarannsóknir
Gagnabanki ljósmynda
Hvalakomur og hvalrekar
Hvalasporðagrunnur
Líffræði & vistfræði hrefnu
Líffræði & vistfræði langreyðar
Merkingar með gervihnattasendum
Stofngerð og stofnstærð hnísu
Topp afræningjar í breytilegu vistkerfi
Víðtækar hvalatalningar
Kolmunni
Kortlagning búsvæða
Kortlagning hafsbotnsins
Arnarfjörður
Drekasvæði
Hali Dohrnbanki
Ísafjarðardjúp
Jökulbanki
Jökuldjúp
Kolbeinseyjarhryggur og nágrenni
Kolluáll
Kötluhryggir
Langanesgrunn
Látragrunn
Nesdjúp
Reykjaneshryggur og nágrenni
Selvogsbanki
Suðaustan Lónsdjúps
Suðausturmið
Suðurdjúp
Suðvestan Jökuldjúps
Sunnan Selvogsbanka
Sunnan Skeiðarárdjúps
Sunnan Skerjadjúps
Vesturdjúp
Víkuráll
Austan við Reykjaneshrygg
Vestfjarðarmið
Kvarnir og aldursákvörðun beinfiska
Loðna
Stofnmat og líffræði loðnu
Útbreiðsla loðnuungviðis
Fréttir af Loðnu
Makríll
Makríll í N-Atlantshafi
Makrílmerkingar
Útbreiðsla makríls
Sjórannsóknir
EMODnet
SeaDataNet
Stofnmælingar
Veiðarfærasjá
Vöktun eiturþörunga
Vöktun veiðiáa
Ár og eldi
Fréttir
Myndbönd
Skrá eldislax
Þörungarannsóknir
Rannsóknafréttir
Umhverfisáhrif sjókvíaeldis
Ráðgjöf
Miðlun
Ársskýrslur
Eldri ársskýrslur
Ársskýrsla 2021
Ársskýrsla 2020
Botnsjávarsvið
Ferskvatnssvið
Fiskeldissvið
Fjármál og upplýsingatækni
Sjávarútvegsskóli GRÓ
Uppsjávarsvið
Þróun miðlun og mannauður
Samfélagsmiðlar og málstofa
Útgáfa og ritaskrá
Ársskýrsla 2019
Botnsjávarsvið
Ferskvatnssvið
Fiskeldissvið
Uppsjávarsvið
Sjávarútvegsskóli
Þróun, miðlun og mannauður
Útgáfa og ritaskrá
Samfélagsmiðlar og málstofa
Fjármál og rekstur
Skiparekstur
Ársskýrsla 2016-2018
Ársskýrsla 2023
Fréttir & tilkynningar
Fyrir skóla
Grunnsævi við nokkra firði
Vestfirðir
Dýrafjörður
Hornstrandir
Aðalvík
Fljótavík
Furufjörður
Hlöðuvík
Hornvík
Reykjafjörður
Þaralátursfjörður
Ísafjarðardjúp
Bolungarvík
Skutulsfjörður
Álftafjörður
Seyðisfjörður
Hestfjörður
Skötufjörður
Mjóifjörður
Reykjafjörður
Ísafjörður
Kaldalón
Jökulfirðir
Hesteyrarfjörður
Veiðileysufjörður
Lónafjörður
Hrafnsfjörður
Leirufjörður
Patreksfjörður
Strandir
Bjarnarfjörður N
Ófeigsfjörður
Ingólfsfjörður
Norðurfjörður
Trékyllisvík
Reykjarfjörður
Veiðileysufjörður
Bjarnarfjörður
Steingrímsfjörður
Kollafjörður
Bitrufjörður
Súgandafjörður
Tálknafjörður
Önundarfjörður
Vesturland
Breiðafjörður
Faxaflói
Ósabotnar
Skólaheimsóknir
Bóka skólaheimsókn
Lax- og silungsveiðin - tölur
Málstofur
Merki/logo
Myndbönd
Útgáfa
Leit
Samfélagsmiðlar
Öryggi & persónuvernd
Myndabanki
Skráning á póstlista
Um okkur
Hafrannsóknastofnun
Framkvæmdastjórn
Gildi & framtíðarsýn
Gjaldskrá
Hlutverk
Ráðgjafarnefnd
Skipurit
Stefnur
Gagnastefna
Gæðastefna
Jafnlaunastefna
Jafnréttisstefna
Loftslagsstefna 2022‐2030
Umhverfisstefna
Sjávarútvegsskóli GRÓ
Laus störf
Viltu vera á skrá?
Skipin
Staðsetning skipa
Starfsfólk
Starfsstöðvar
Akureyri
Grindavík
Hvammstangi
Hvanneyri
Ísafjörður
Hafnarfjörður
Selfoss
Neskaupstaður
Vestmannaeyjar
Svið
Botnsjávarsvið
Ferskvatns- og eldissvið
Veiðibækur
Hreistursýnataka
Fjármál og rekstur
Umhverfissvið
Uppsjávarsvið
Mannauður og miðlun
UNESCO GRÓ Sjávarútvegsskóli
Starfsfólk
IS
EN
HafogVatn.is
/
Miðlun
/
Fréttir & tilkynningar
/
Fréttir
Opna/loka leit
Leita
Fréttir & tilkynningar
Gott ár fyrir rannsóknaskipin - þrátt fyrir COVID-19
Rannsóknaskip Hafrannsóknastofnunar hafa komist í alla rannsóknaleiðangra ársins og ekki misst úr einn einasta túr.
27. nóvember
Rannsókna-og nýsköpunaráætlun ESB styrkir vísindastarf Hafrannsóknastofnunar
Í dag taka starfsmenn Hafrannsóknastofnunar þátt í 11 evrópuverkefnum sem hlotið hafa styrk úr Horizon 2020
19. nóvember
Eldislax fóðraður á timbri
Við eldisstöð Hafrannsóknastofnunar í Grindavík er nú unnið að tilraunaverkefni fyrir Matís
17. nóvember
Ársfundur Hafrannsóknastofnunar 13. nóvember, kl. 14-16
Ársfundur Hafrannsóknastofnunar var haldinn 13. nóvember 2020 milli kl. 14 og 16
05. nóvember
Fjölbreytileiki hryggleysingja í lindum á Íslandi
Agnes-Katharina Kreiling (Kera) varði doktorsritgerð sína við Háskóla Íslands þann 19. október 2020,
05. nóvember
Auglýst eftir skipum til loðnumælinga
Ríkiskaup, fyrir hönd Hafrannsóknastofnunar, hefur auglýst eftir tilboðum vegna tímabundinnar leigu á skipum til bergmálsmælinga
03. nóvember
Heili í 245 ára hákarli úr haustralli sýnir engin merki öldrunar
Rannsóknir á áhrifum öldrunar á heila u.þ.b. 245 ára gamals hákarls í samanburði við sama ferli í heila manna
02. nóvember
Jakob Jakobsson er látinn
Kveðja frá Hafrannsóknastofnun
29. október
Haustleiðangur hafinn
Að kvöldi 26. október 2020, hélt rannsóknaskipið Bjarni Sæmundsson í árlegan haustleiðangur Hafrannsóknastofnunar
27. október
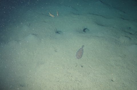
Kortlagning hafsbotnsins
Sumarið 2020 kortlögðu leiðangursmenn á RS Árna Friðrikssyni samanlagt um 46.600 km2 hafsvæði
26. október
52
53
54
55
56
57
58
59
60
61
Fannst þér efnið á síðunni hjálplegt?
Já
Nei
Ástæða
Efnið svarar ekki spurningunni
Síðan inniheldur rangar upplýsingar
Það er of mikið efni á síðunni
Ég skil ekki efnið, finnst það of flókið
Eitthvað annað sem þú vilt koma á framfæri?
Svar eða ósk um frekari upplýsingar má senda á netfang mitt:
Hætta við
Senda álit
Takk fyrir! Ábending þín er móttekin
Miðlun
Ársskýrslur
Eldri ársskýrslur
Ársskýrsla 2021
Ársskýrsla 2020
Botnsjávarsvið
Ferskvatnssvið
Fiskeldissvið
Fjármál og upplýsingatækni
Sjávarútvegsskóli GRÓ
Uppsjávarsvið
Þróun miðlun og mannauður
Samfélagsmiðlar og málstofa
Útgáfa og ritaskrá
Ársskýrsla 2019
Botnsjávarsvið
Ferskvatnssvið
Fiskeldissvið
Uppsjávarsvið
Sjávarútvegsskóli
Þróun, miðlun og mannauður
Útgáfa og ritaskrá
Samfélagsmiðlar og málstofa
Fjármál og rekstur
Skiparekstur
Ársskýrsla 2016-2018
Ársskýrsla 2023
Fréttir & tilkynningar
Fyrir skóla
Grunnsævi við nokkra firði
Vestfirðir
Dýrafjörður
Hornstrandir
Aðalvík
Fljótavík
Furufjörður
Hlöðuvík
Hornvík
Reykjafjörður
Þaralátursfjörður
Ísafjarðardjúp
Bolungarvík
Skutulsfjörður
Álftafjörður
Seyðisfjörður
Hestfjörður
Skötufjörður
Mjóifjörður
Reykjafjörður
Ísafjörður
Kaldalón
Jökulfirðir
Hesteyrarfjörður
Veiðileysufjörður
Lónafjörður
Hrafnsfjörður
Leirufjörður
Patreksfjörður
Strandir
Bjarnarfjörður N
Ófeigsfjörður
Ingólfsfjörður
Norðurfjörður
Trékyllisvík
Reykjarfjörður
Veiðileysufjörður
Bjarnarfjörður
Steingrímsfjörður
Kollafjörður
Bitrufjörður
Súgandafjörður
Tálknafjörður
Önundarfjörður
Vesturland
Breiðafjörður
Faxaflói
Ósabotnar
Skólaheimsóknir
Bóka skólaheimsókn
Lax- og silungsveiðin - tölur
Málstofur
Merki/logo
Myndbönd
Útgáfa
Leit
Samfélagsmiðlar
Öryggi & persónuvernd
Myndabanki
Skráning á póstlista
Venjulegt útlit
Breyta stillingum