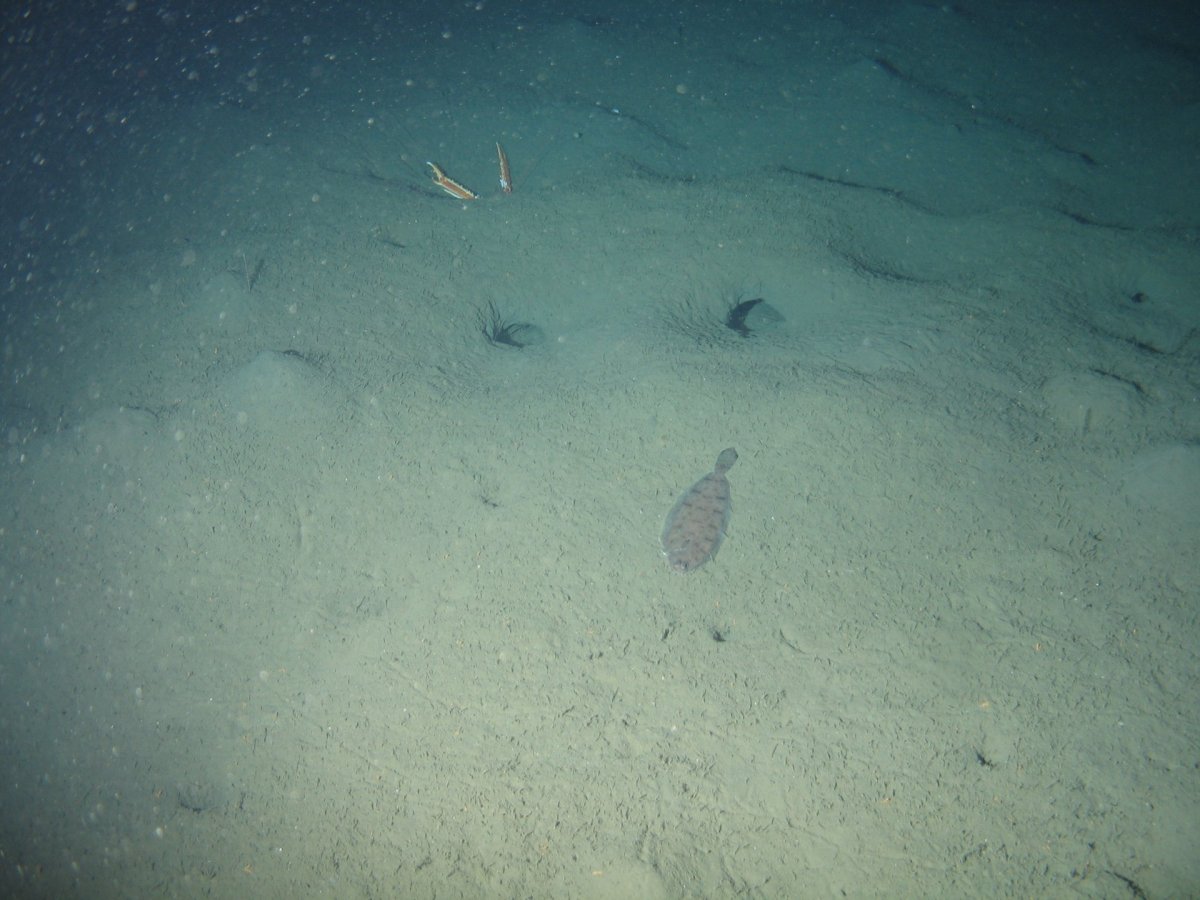
Humarholur á hafsbotni
Árlegur humarleiðangur Hafrannsóknastofnunar fór fram dagana 10. til 19. júní síðastliðinn. Þetta var í fimmtugasta og annað sinn sem haldið var til rannsókna á humri að vorlagi og í fimmta skiptið þar sem humarholur voru taldar með neðansjávarmyndavélum. Hér má sjá myndband þar sem verið er að telja humarholur. Alls var myndað á 85 stöðvum á humarbleiðum allt frá Jökuldýpi í vestri til Lónsdýpis í austri. Árið 2019 var fjöldi humarholna metin vera tæpar 500 milljónir. Þá var mesti þéttleiki þeirra í Breiðamerkur- og Hornafjarðardjúpum um 0,13 humarholur á hvern fermeter en talningar á holum hófust þegar stofninn hafði náð mikilli lægð sökum nýliðunarbrests sem enn sér ekki fyrir endann á. Niðurstöður þessa leiðangurs verða kynntar í haust þegar búið verður að fara yfir allt myndefnið. Í leiðangrinum voru einnig tekin háfsýni til að fá upplýsingar um magn humarlirfa og samsetningu dýrasvifs á svæðinu. Sem stakir standa eru humarveiðar bannaðar í Jökul- og Lónsdjúpi og voru tekin þar tog með humavörpu til að kanna stærðarsamsetningu humars.

Leiðangurinn gekk heilt yfir vel, en gæta þurfti veðurs við myndatökur en vindhraði og tilsvarandi sjólag mega helst ekki fara yfir 10 metra á sekúndu. Vorblóminn var enn til staðar á vesturhluta veiðislóðarinnar og voru nokkur humarskip að veiðum þar. Sjór var tærari á austurhluta rannsóknasvæðisins en þar mátti greina leifar vorblómans sem sokkins grot rétt ofan við hafsbotninn. Af þess sökum var skyggni við botninn nokkuð víða mjög lítið.

Humarleiðangurinn fór fram um borð í rannsóknaskipi Hafrannasóknastofnunar Bjarna Sæmundssyni HF 30. Leiðangursstjóri var Jónas Páll Jónasson og skipstjóri Ásmundur Sveinsson.
